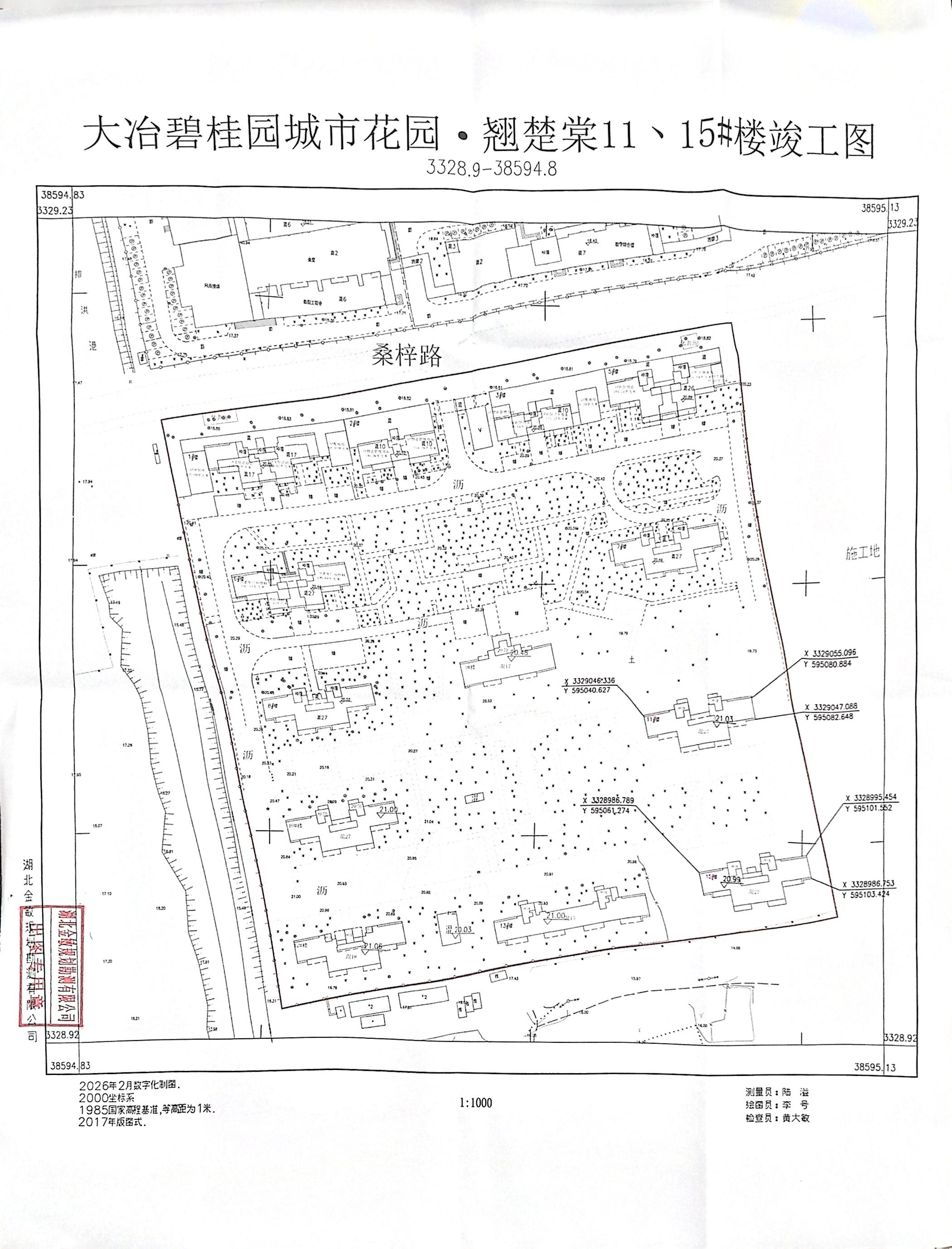
大冶市碧桂园房地产开发有限公司建设的大冶碧桂园城市花园·翘楚棠项目位于大冶市熊家洲西垦区花园路东侧、桑梓路南侧。总用地面积47924.72㎡。2020年10月取得《建设工程规划许可证》,建设规模58549.61㎡(地上)。现该公司向我局申请对已建成的27F 11号楼、27F 15号楼进行分期规划条件核实。
根据大冶市碧桂园房地产开发有限公司申请,经研究,原则同意对大冶碧桂园城市花园·翘楚棠项目11号楼、15号楼项目验收规划条件核实内容进行审批,依据 《中华人民共和国城乡规划法》《关于城乡规划公开公示的规定》等相关规定要求,现对该项目规划核实处理意见进行公示。在公示期间如对该公示内容有任何意见或建议,请使用真实姓名和联系方式以书面意见与大冶市自然资源和规划局联系,如无异议,我局将按规定办理批准手续。
公示日期:2026年4月8日—2026年4月21日
联系电话:0714-8769935 大冶市自然资源和规划直属所 方先生
地址:大冶市人民政府政务服务中心2035办公室
附件:
1.规划审批平面位置图
2.竣工图
大冶市自然资源和规划局
2026年4月8日




